忍者ブログ

いーとあーとブログ

展覧会情報(旧ギャラリーどらーる掲示板より)

2025'10.21.Tue
×

[PR]上記の広告は3ヶ月以上新規記事投稿のないブログに表示されています。新しい記事を書く事で広告が消えます。

2007'01.14.Sun
申し訳ありません 投稿者:竜馬@管理人 投稿日:2004/07/16(Fri) 17:31 No.1652  
 

1652.jpg 2日間展覧会のご紹介の更新がありません。
今週は旭川に行ったり、本日は室蘭の支店を激励に行ったりと本業の方で時間を取られる日が二日あり、その分の事務が滞ったりして動きが取れませんでした。
更に当社の支払日が連休明けですから、膨大な請求書のチェックなどに忙殺されております。
ギャラリーを訪れて下さった作家の方が何人かおられたのですが、話の内容が油っこすぎて到底書けません(笑)。
明日も出勤ですが、(日)~(月)は少し歩けると思います。
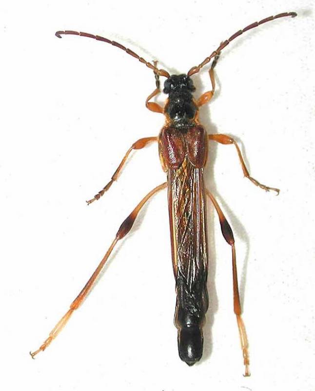
画像は美術の話とは全く関係ないのですが、今これから何としても捕獲したい「アイヌホソコバネカミキリ」です。



Re: 申し訳ありません 天然記念物 - 2004/07/17(Sat) 16:21 No.1656   HomePage

夫は工房展を目指して、お尻に火がつきなじめています。でも、アイヌホソコバネカミキリの写真などを見せられて、せっせと図鑑を引っ張り出して、ついつい仕事がおろそかになってしまいました。

「これは、僕も是非採りたいカミキリで~す!」と叫び、ダケカンバの立ち枯れに集まると言っています。厨子が北海道方面に売れれば、絶対に自分がご自宅までお届けに上がります、と夢を描き、帰りはカミキリ採りをもくろんでいます。世の中そんなにうまくいったら、バチが当たりそうですね。



それは申し訳ありません 竜馬@管理人 - 2004/07/17(Sat) 17:31 No.1658  

1658.jpg 天然記念物さんの心配の種を与えたようですね。ごめんない。
今は“ムシ”を忘れて制作に励むようになんてメールしておきながら、私が話を振ったのが間違いでした(笑)。

北海道で厨子をねー・・。お金持ちもいるのでしょうが、私の周りには心当たりないですものね~。
今、道内各地の知人に「アイヌホソコバネ」の指名手配書をメールで飛ばしています。
そのうち懸賞金でもつけますか?(笑)必ず採取しますよ。

PR
Post your Comment
Name:
Title:
Mail:
URL:
Color:
Comment:
pass: emoji:Vodafone絵文字 i-mode絵文字 Ezweb絵文字
[493] [492] [491] [490] [489] [488] [487] [486] [485] [484] [483
≪  BackHOME : Next ≫
カテゴリー
プロフィール
HN:
Ryo
性別:
非公開
ブログ内検索



いーとあーとブログ wrote all articles.
Powered by Ninja.blog * TemplateDesign by TMP  

忍者ブログ[PR]